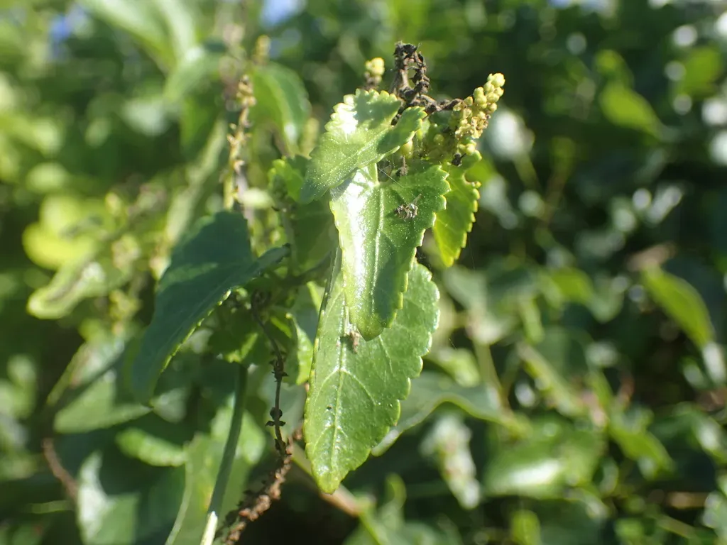
Tragia Kirkiana (Tragia Kirkiana) is a plant in the Euphorbiaceae family with moderate care difficulty. It requires moderate watering and moderate light.

Tragia Kirkiana
Tragia Kirkiana
Quick Facts
Safety
⚠️
Not Pet Safe
⚠️
Not Child Safe
✅
Non-Toxic
Care Calendar
Monthly care tasks for Tragia Kirkiana
Jan
Prune
Feb
Fertilize
Mar
Repot
Apr
Water+
May
...
Jun
...
Jul
...
Aug
...
Sep
...
Oct
...
Nov
...
Dec
...
Expert Care Tips
Pro tips from botanists and plant experts
Watering Tip
Check soil moisture by inserting your finger 1 inch deep. Water only when the top layer feels dry to prevent overwatering.
Humidity Trick
Group plants together to create...
Growth Hack
Rotate your plant every...
Photo Gallery10+ photos

View leaf details, flowers, seeds & more in the app
Taxonomy
Family:Euphorbiaceae
Genus:Tragia